En vente Terrain 433 m2

Ville FRANCONVILLE
Code postal 95130
Type de bien Terrain
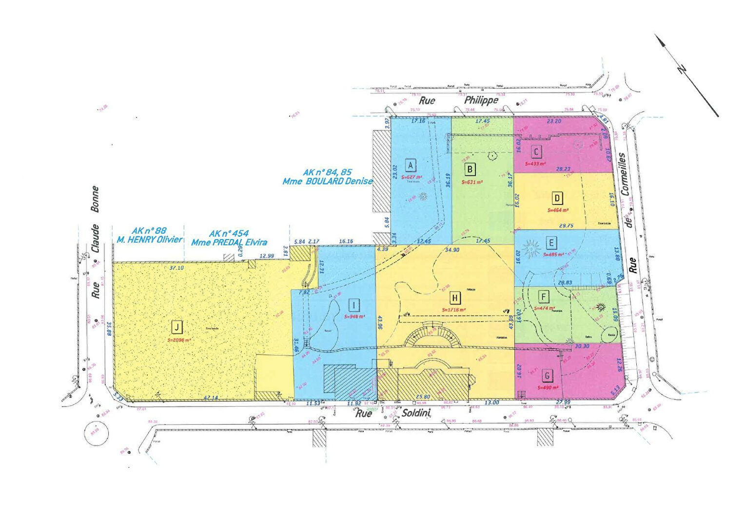
Surface 433 m2
Nombre de pièces
Prix 199 000,00 €
Informations sur l'annonceur
Annonce de professionnel
Agence BMC IMMOBILIER - BMC IMMOBILIER LE PLESSIS BOUCHARD
Voir toutes les annonces
Adresse 78 CHAUSSEE JULES CESAR
95130 LE PLESSIS BOUCHARD
Téléphone Fixe 0134154800
Portable

Description

Au sein du quartier l'Hôtel de Ville à FRANCONVILLE, nous vous proposons 1 terrain de 433 m², qui bénéficie d'un emplacement de choix dans un environnement pavillonnaire calme. Avec des façades de 16 mètres et situé en zone UI, ils vous offrent de nombreuses possibilités pour la réalisation d'un projet résidentiel. Libre de constructeur, vous êtes totalement libre de choisir l'architecte ou le constructeur de votre choix pour concevoir la maison qui vous ressemble. A proximité immédiate des écoles, commerces, transports en commun et des principaux axes routiers. UNE BELLE OPPORTUNITE !! Un ERRIAL (Etat des Risques Réglementés pour l'Information des Acquéreurs et des Locataires) et les informations sur les risques auxquels ces biens sont exposés, sont disponibles sur le site Géorisques : www. georisques.gouv.fr. Non soumis au DPE. Pour plus de renseignements, contactez Grégory RIBEIRO, agent commercial immatriculé 984853960 Pontoise.

Les photos du bien

Les diagnostics


DPE
Energie non communiquée
GES
GES non communiqué