En vente Terrain 773 m2
| Ville | BOLQUERE |
| Code postal | 66210 |
| Type de bien | Terrain |
| Surface | 773 m2 |
| Nombre de pièces | |
| Prix | 230 000,00 € |
| Informations sur l'annonceur | |
|---|---|
| Annonce de professionnel |
|
| Agence | AGENCE PEYROT - AGENCE PEYROT Bolquere Voir toutes les annonces |
| Adresse | 312 Route de la Foret |
| 66210 BOLQUERE/PYRENEES 2000 | |
| Téléphone Fixe | 0468300575 |
| Portable |
Description
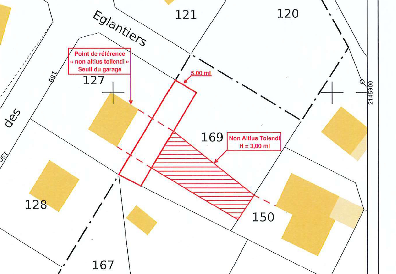
Terrain constructible de 773 m², idéalement situé au coeur de la forêt de SuperBolquère. La parcelle, plate et facilement accessible, profite d'un environnement calme, à deux pas de l'étang du Ticou. Le terrain est à viabiliser, mais les réseaux se trouvent à proximité. A noter : une servitude de hauteur concerne une partie de la parcelle (repérée sur la photo).
Les photos du bien
Les diagnostics
DPE
| Energie non communiquée |
|---|
GES
| GES non communiqué |
|---|