En vente Terrain
| Ville | Plaisance-du-Touch |
| Code postal | 31830 |
| Type de bien | Terrain |
| Surface | |
| Nombre de pièces | |
| Prix | 168 000,00 € |
| Informations sur l'annonceur | |
|---|---|
| Annonce de professionnel |
|
| Agence | L'HABITAT IMMOBILIER Voir toutes les annonces |
| Adresse | 83 Avenue des Pyrénées |
| 31830 Plaisance-du-Touch | |
| Téléphone Fixe | 0562488292 |
Description
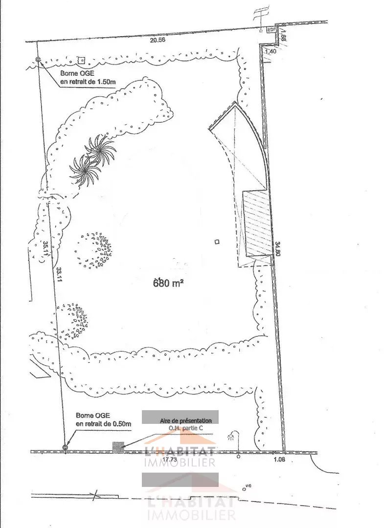
PERLE RARE, TERRAIN CONSTRUCTIBLE EN CENTRE VILLE de 680 m². Idéalement situé à 5 min à pied de la place du marché et des commodités. Ce terrain exposé sud, est clôturé. Façade sur rue de 18 m env. et profondeur de 34 m env. La viabilisation est à récupérer en bordure. Possibilité de réaliser un très beau projet de villa T5-6 avec piscine. Libre de constructeur. CES 0.40. Un seul logement possible. LHABITAT IMMOBILIER - Bernadette JOUANICOU - 06 79 04 24 75 - Plus d'informations sur www.lhabitat.fr Contact Bernadette JOUANICOU. tel 06.79.04.24.75 agent commercial immatriculée au RSAC de TOULOUSE sous le N' 532761269.
Les photos du bien
Les diagnostics
DPE
| Energie non communiquée |
|---|
GES
| GES non communiqué |
|---|