En vente Terrain 255 m2

Ville NANTERRE
Code postal 92000
Type de bien Terrain
Surface 255 m2
Nombre de pièces
Prix 400 000,00 €
Informations sur l'annonceur
Annonce de professionnel
Agence Les Agents de l'Immobilier NANTERRE
Voir toutes les annonces
Adresse 25 rue Maurice Thorez
92000 NANTERRE
Téléphone Fixe 0146699000

Description

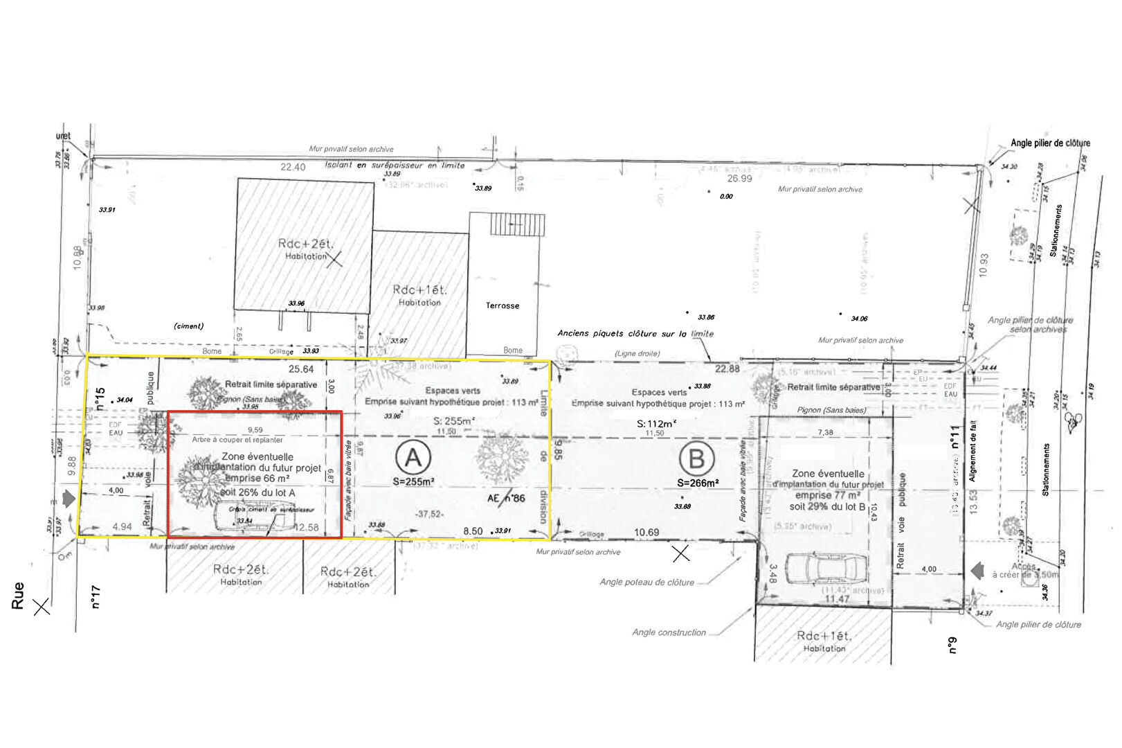
Terrain constructible de 255 m² situé dans le très recherché quartier des Musiciens, à environ 10 minutes à pied du RER A Nanterre Ville. Environnement calme et résidentiel, à proximité immédiate des établissements scolaires, crèches, bibliothèque, commerces, supermarchés et autres commodités. Projet : Possibilité de construction d'une maison avec une emprise au sol d'environ 66 m², sur deux niveaux plus combles. Caractéristiques du terrain : Largeur : 9,85 m Longueur : 25,64 m Prenez contact avec Adrien SAVVA au 06_81_82_62_54 pour toute information sur le terrain. Selon l'article L. 561-5 du Code monétaire et financier, la copie de votre pièce d'identité ou de votre passeport sera demandée pour chaque visite. Les informations sur les risques auxquels ce bien est exposé sont disponibles sur le site Géorisques http://www.georisques.gouv.fr

Les photos du bien

Les diagnostics


DPE
Energie non communiquée
GES
GES non communiqué